CẦN BÁN GẤP LÔ ĐẤT MẶT TIỀN VÕ VĂN BÍCH – DT 5.040m² – GIÁ CHỈ 44 TỶ | ||
Vị trí: Mặt tiền đường Võ Văn Bích, khu vực sầm uất, thuận tiện giao thương. | ||
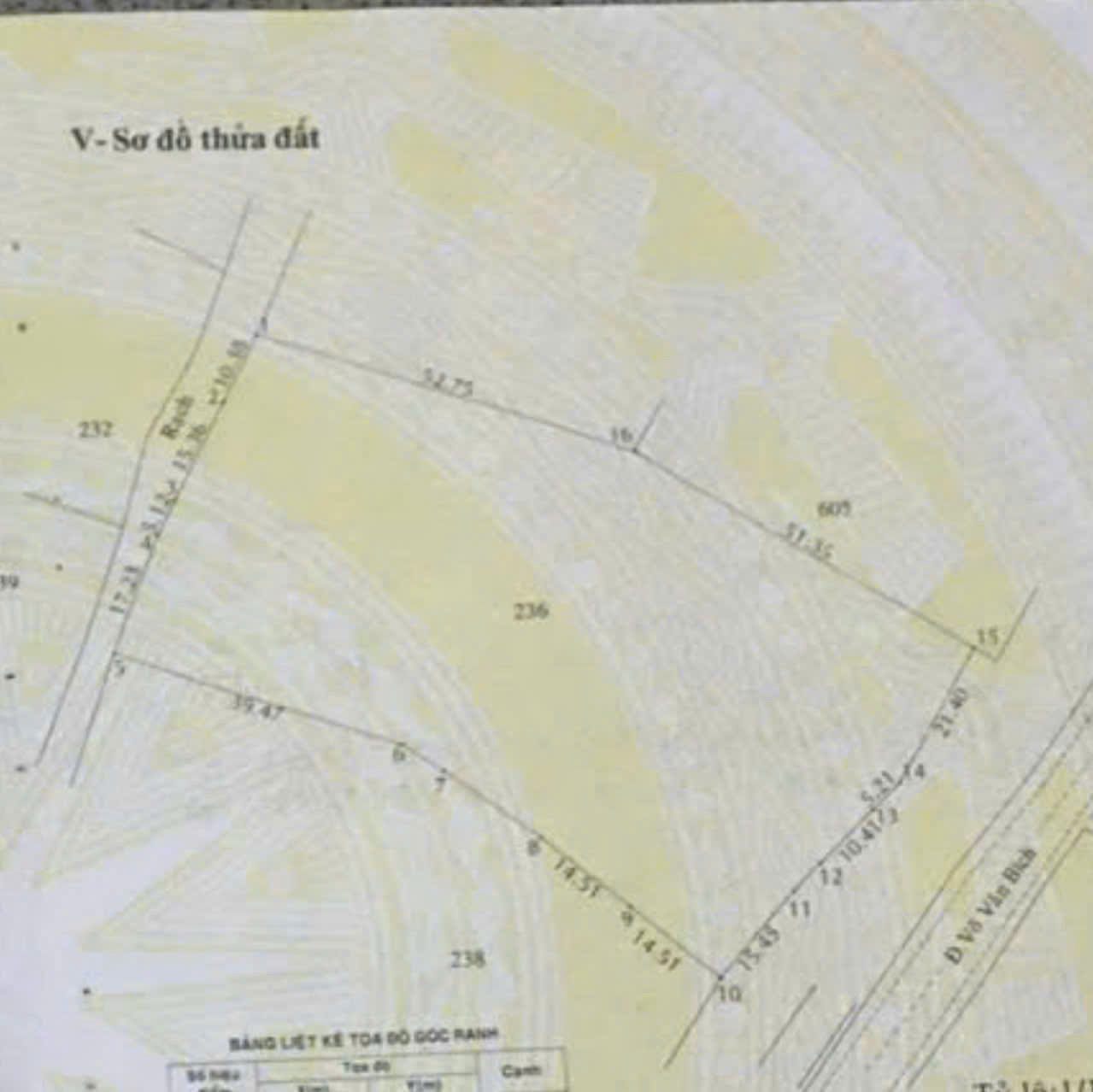
Tổng DT: 5.040m² – Đã chuyển lên đất sản xuất kinh doanh 3.995m² – Đất SXKD, đóng thuế 1 lần, pháp lý rõ ràng. | ||
Thích hợp xây nhà xưởng, kho bãi, trung tâm logistic hoặc phát triển dự án. | ||
Giá bán: 44 tỷ (TL cho khách thiện chí). | ||
Quỹ đất lớn – mặt tiền hiếm – cơ hội đầu tư sinh lời cao! | ||
Liên hệ ngay Ms Mỹ – 0909.805.456 để xem đất và làm việc trực tiếp chủ! |
BÁN GẤP ĐẤT MẶT TIỀN VÕ VĂN BÍCH – DT 5.040M² – GIÁ CHỈ 44 TỶ
Ngày đăng: 07-09-2025
Thông tin
Giá: 44 tỷ
Diện tích: 5040m2
Khu vực: Chung cư mini TP HCM
Địa chỉ: Đường Võ Văn Bích, Nhuận Đức, Củ Chi, TP.HCM
Mã tin đăng: 589258
Chi tiết
Thông tin liên hệ
Họ và tên: Nguyễn Hoàng Bảo Châu
Email: nhagiatotq12@gmail.com
Điện thoại: 0909805456
Tin liên quan

NHÀ NHỎ SỔ RIÊNG – DTCN 13M² – 2 TẦNG – GIÁ CHỈ 1.95 TỶ – HẺM 3M SẠCH SẼ – GIÁP TÂN PHÚ, NGAY CHỢ BÌNH LONG – HOÀN CÔNG ĐỦ, Ở NGAY
💥 NHÀ NHỎ SỔ RIÊNG – DTCN 13M² – 2 TẦNG – GIÁ CHỈ 1.95 TỶ – HẺM 3M SẠCH SẼ – GIÁP TÂN PHÚ, NGAY CHỢ BÌNH LONG...
Giá: 1 Triệu 900K / Tháng
Diện tích: 13m2
Khu vực: Chung cư mini TP HCM 18 - 10 - 2025

Cho thuê nhà Bùi Đình Tuý, 4.8x17m, trệt, lửng, 2 lầu, 3pn, 4wc, 22tr, TL
Cho thuê nhà Bùi Đình Tuý, P.12, Bình Thạnh, 4.8x17m, trệt, lửng, 2 lầu, 3pn, 4wc, 22tr, TL Vị trí: đường Bùi Đình Tuý, phường 12, quận Bình Thạnh,...
Giá: 22 Triệu / Tháng
Diện tích: 292m2
Khu vực: Chung cư mini TP HCM 18 - 10 - 2025

Bán nhà 2 tầng, 3PN, HXH đường Số 4, Trường Thọ, Thủ Đức. DT 160m2, SHR, giá 9,05 tỷ.
🔥🔥 HOT HOT HOT – Nhà ngon Trường Thọ, Thủ Đức đây bà con ơi! 🔥🔥💰💰 Đầu tư giữ tiền siêu đỉnh – An tâm sinh lời 💰💰🏡 Em...
Giá: 9 tỷ 050 Tr / Tháng
Diện tích: 160m2
Khu vực: Chung cư mini TP HCM 18 - 10 - 2025

BÁN NHÀ 5 TẦNG ĐẸP LUNG LINH- XE HƠI VI VU NGANG NHÀ- KHU DÂN CƯ HIỆN HỮU- THÔNG RA VĨNH HỘI- KHÁNH HỘI- BẾN VÂN ĐỒN QUA PHỐ ĐI BỘ NGUYỄN HUỆ CHƯA ĐẾN 5 PHÚT.
🏡 BÁN NHÀ MẶT TIỀN ĐƯỜNG SỐ- 5 TẦNG MỚI FULL NỘI THẤT XỊN SÒ- THÔNG RA KHÁNH HỘI- HOÀNG DIỆU-GẦN TRƯỜNG ĐẠI HỌC LUẬT NGUYỄN TẤT THÀNH😍 🌹Diện...
Giá: 10 tỷ 900 Tr / Tháng
Diện tích: 35m2
Khu vực: Chung cư mini TP HCM 18 - 10 - 2025

CHDV NGAY TRUNNG TÂM QUẬN 4- ĐƯỜNG KHÁNH HỘI- SẴN DÒNG TIỀN 30 TRIỆU MỖI THÁNG- RA TÔN THẤT THUYẾT, BẾN VÂN ĐÒN , NGUYỄN TẤT THÀNH.
🌺☘️ BÁN CHDV NGAY TRUNG TÂM QUẬN 4 -NGANG NỞ HẬU TÀI LỘC – TRỤC Đ.KHÁNH HỘI RA TÔN THẤT THUYẾT, BẾN VÂN ĐỒN QUA HOÀNG DIỆU ĐẾN NGUYỄN...
Giá: 7 tỷ 900 Tr / Tháng
Diện tích: 45m2
Khu vực: Chung cư mini TP HCM 18 - 10 - 2025

Nhà diện tích khủng hẻm Âu Dương Lân P.Chánh Hưng (P3Q8)
Nhà diện tích khủng hẻm Âu Dương Lân P.Chánh Hưng (P3Q8) + Diện tích: 5.4 x 14m + Kết cấu: Trệt, lầu, 4PN, 4 Toilet, nhà mới, dọn vào...
Giá: 6 tỷ 800 Tr / Tháng
Diện tích: 76m2
Khu vực: Chung cư mini TP HCM 18 - 10 - 2025