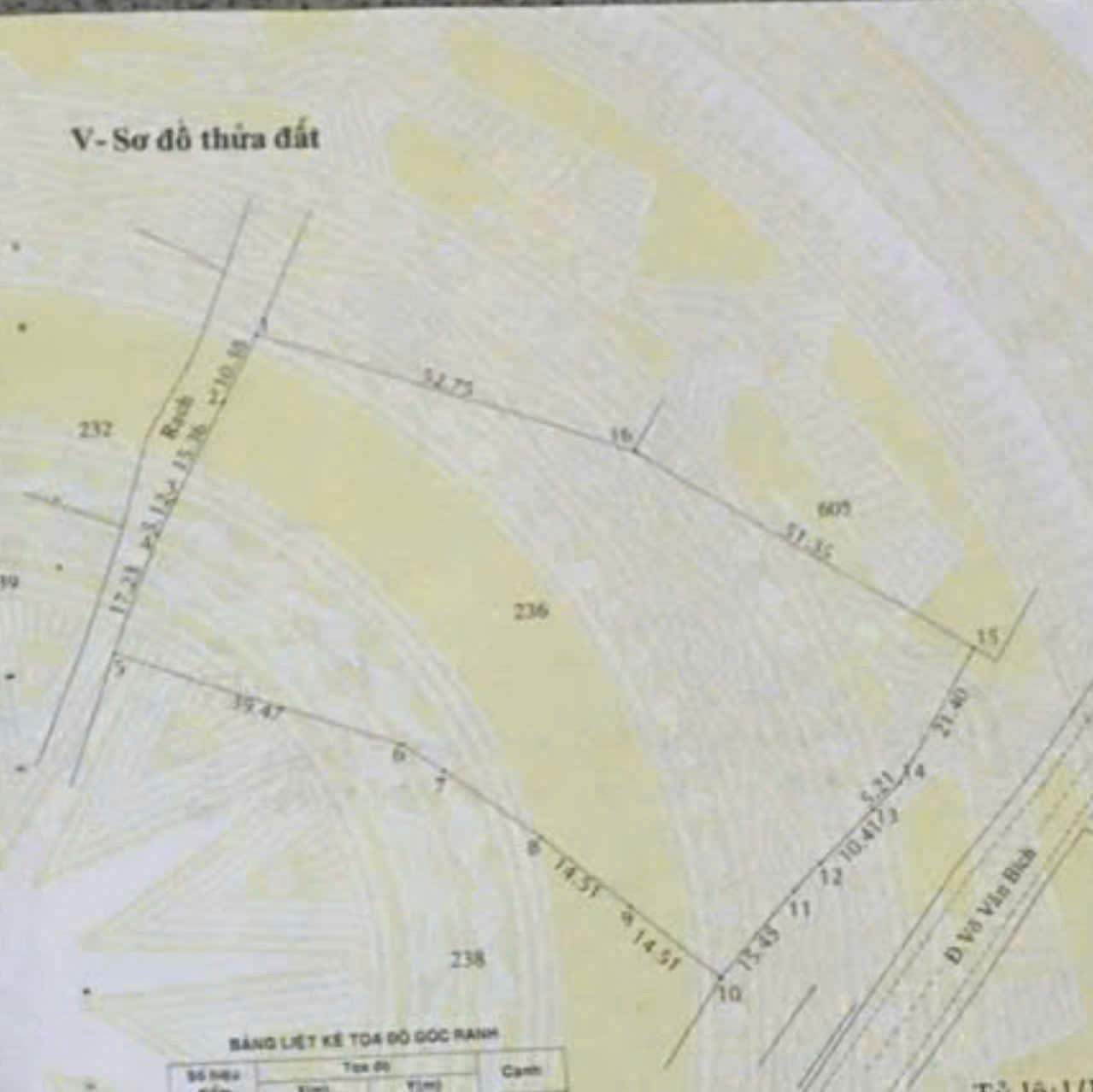
CẦN BÁN GẤP LÔ ĐẤT MẶT TIỀN VÕ VĂN BÍCH – DT 5.040m² – GIÁ CHỈ 44 TỶ | ||
Vị trí: Mặt tiền đường Võ Văn Bích, khu vực sầm uất, thuận tiện giao thương. | ||
Tổng DT: 5.040m² – Đã chuyển lên đất sản xuất kinh doanh 3.995m² – Đất SXKD, đóng thuế 1 lần, pháp lý rõ ràng. | ||
Thích hợp xây nhà xưởng, kho bãi, trung tâm logistic hoặc phát triển dự án. | ||
Giá bán: 44 tỷ (TL cho khách thiện chí). | ||
Quỹ đất lớn – mặt tiền hiếm – cơ hội đầu tư sinh lời cao! | ||
Liên hệ ngay Ms Mỹ – 0909.805.456 để xem đất và làm việc trực tiếp chủ! |
BÁN GẤP ĐẤT MẶT TIỀN VÕ VĂN BÍCH – DT 5.040M² – GIÁ CHỈ 44 TỶ
Ngày đăng: 05-09-2025
Thông tin
Giá: 44 tỷ
Diện tích: 5040m2
Khu vực: Chung cư mini TP HCM
Địa chỉ: Đường Võ Văn Bích, Nhuận Đức, Củ Chi, TP.HCM
Mã tin đăng: 585979
Chi tiết
Thông tin liên hệ
Họ và tên: Phạm Mỹ
Email: mymypham89@gmail.com
Điện thoại: 0909805456
Tin liên quan

Sát mặt tiền Q4 Ngang 3 dài 16 m có 80 triệu m
Sát mặt tiền Q4 Ngang 3 dài 16 CÓ 80 TRIỆU M22 tầng 3 PN 2 Wc Sổ hồng riêng hoàn công Khu đô thị cao tầng Giá 4.25...
Giá: 4 tỷ 250 Tr / Tháng
Diện tích: 48m2
Khu vực: Chung cư mini TP HCM 17 - 10 - 2025

Cách 1 căn nhà ra mặt tiền xe hơi 🚘Q4 Ngang 3.5 dài 7 HƠN 2 TỶ
Cách 1 căn nhà ra mặt tiền xe hơi 🚘Q4 Ngang 3.5 dài 7 HƠN 2 TỶ Clip NHÀ https://vt.tiktok.com/ZSDtM4S6X/https://youtube.com/shorts/dtE4OvXR6ww?si=z7gRPDBtPcU_RCeI Trệt lầu lững 3 PN 2wc Sổ hồng riêng...
Giá: 2 tỷ 950 Tr / Tháng
Diện tích: 24m2
Khu vực: Chung cư mini TP HCM 17 - 10 - 2025

1 tỷ Mua 1 lúc 2 căn nhà Sát mặt tiền Q 7 Phú Thuận Phú Mỹ Hưng GIẢM NGAY LỘC 500 TRIỆU
1 tỷ Mua 1 lúc 2 căn nhàSát mặt tiền Q 7 Phú Thuận Phú Mỹ Hưng GIẢM LỘC 500 TRIỆU – NỮA TỶClip NHÀ https://vt.tiktok.com/ZSDtCCwmw/ https://youtube.com/watch?v=rmQKN1nXGbs&si=uFH2KfXRqA5IOuMOCăn 1 Ngang...
Giá: 7 tỷ 700 Tr / Tháng
Diện tích: 105m2
Khu vực: Chung cư mini TP HCM 17 - 10 - 2025

NHÀ SÁT MẶT TIỀN ĐƯỞNG Q4 DIỆN TÍCH 47 M2 CÓ 71 TRIỆU M2
NHÀ SÁT MẶT TIỀN ĐƯỞNG Q4 ĐƯỜNG TRƯỚC NHÀ NGANG 3.5 CÓ 71 TRIỆU M2 CÓ THÊM SÂN ĐỂ XE THOẢI MÁI NHÀ Q4 -KHU DÂN CƯ HIỆN HỮU...
Giá: 3 tỷ 500 Tr / Tháng
Diện tích: 47m2
Khu vực: Chung cư mini TP HCM 17 - 10 - 2025

SÁT MẶT TIỀN ĐƯỜNG Q4 CÓ 2 TỶ – 3 TẦNG
🌈NHÀ CHÍNH CHỦ – VỊ TRÍ ĐỪỜNG XÓM CHIẾU — QUẬN 4 – KHU DÂN CƯ HIỆN HỮU ⚡️Dt: 15m2 ( ngang 3 dài 5)⚡️Sử dụng:50 m2⚡️Nhà 1...
Giá: 2 tỷ 030 Tr / Tháng
Diện tích: 50m2
Khu vực: Chung cư mini TP HCM 17 - 10 - 2025

SÁT MẶT TIỀN Q4 DIỆN TÍCH NGANG 5.1 X11 HƠN 100 TRIỆU M
CÁCH MẶT TIỀN CÓ 45 M KẸT TIỀN BÁN MIẾNG ĐẤT ĐƯỜNG TRƯỚC NHÀ NGANG RỘNG THÔNG 5M VỊ TRÍ ĐẦU QUẬN 4 CÁCH Q1 CÓ 1 PHÚT CHẠY...
Giá: 6 tỷ 800 Tr / Tháng
Diện tích: 56m2
Khu vực: Chung cư mini TP HCM 17 - 10 - 2025